Крушата е плодово дърво, което расте почти във всеки ъгъл на планетата. Счита се за едно от най-старите култивирани растения. Плодовете ѝ съдържат витамини, микроелементи, фибри и много други, необходими за здравословното хранене. Правилната грижа за крушата ще ви помогне да постигнете изобилна реколта и да се наслаждавате на ароматните плодове през целия сезон. В тази статия ще обясним как правилно да се грижите за крушовите дървета и как да получите изобилна реколта.
Съдържание
- 1 Особености на грижата за крушовото дърво в зависимост от сезона
- 2 Необходимостта и правилата за хранене на круши
- 3 Торове за круши
- 4 Торене на круши според сезоните
- 5 Време за резитба на крушата
- 6 Правила за резитба на круши според възрастта
- 7 Подрязване на круши според сезоните
- 8 Третиране на круши срещу инфекции и вредители
- 9 Болести и вредители по крушите в таблица със снимки: методи за превенция и контрол
- 10 Методи за размножаване на круши
- 11 Подготовка на круши за зимата
- 12 Съвети от опитни градинари за грижа за крушови дървета
Особености на грижата за крушовото дърво в зависимост от сезона
Грижата за това плодово дърво ще варира в зависимост от времето на годината.
Правила за грижа за крушово дърво през пролетта
Грижата за крушовото дърво трябва да започне в началото на пролетта.
Може да включва няколко основни правила:
- Премахнете зимните покрития и третирайте всички повреди. Ако овощните дървета са били увити, за да се предпазят от замръзване през зимата, е време да ги премахнете, след като температурите достигнат стабилни над нулата. След това е важно да се огледат стволовете на крушовите дървета за изгнила кора и следи от ухапвания от животни. Ако се открият незначителни повреди, може да се използва глинена смес за поправянето им. За целта внимателно почистете повредената зона, нанесете сместа и покрийте с пластмасово фолио и плат. Ако се открият значителни повреди по ствола, присадете парче кора от същото дърво, получено по време на пролетната резитба.
- Подрязване. Тази работа трябва да се извърши преди началото на отделянето на сок, в сух и безветреен ден. С помощта на остри ножици за рязане отстранете слабите издънки и подрежете страничните клони, които пречат на растежа на централните клони. Ако е необходимо, оформете короната на дървото. Отстранете старата кора от долната част на ствола, както и мъх и лишеи, които могат да забавят растежа му.
- Третирайте срещу инфекции и насекоми. За целта се препоръчва превантивно пръскане с фунгициди и инсектициди.
- Пролетното присаждане трябва да се извърши преди началото на отделянето на сок. Тази процедура ще подобри добива и вкуса на плодовете. За присаждане се избират близкородствени растения. Резниците от круши се понасят добре с айрян, ябълка или дюля. Само други сортове круши могат да се присаждат върху крушови дървета.
- Подхранване на крушовото дърво: преди да започне да тече сок, добавете 5 литра вода, 250 г урея (птичи изпражнения, амониев нитрат) или 0,5 литра оборски тор на 10 литра вода. През май (след цъфтежа): фосфорно-калиеви торове.
Грижа за крушово дърво през лятото
Когато се грижите за растението, поливайте го редовно. По време на сухи периоди всяко растение се нуждае от приблизително 35 литра вода.
Поливането се извършва вечер.
Плодовите дървета могат да станат прекалено гъсти и може да се нуждаят от резитба, за да се гарантира, че крушовото дърво получава достатъчно слънчева светлина.
Как да се грижим за крушово дърво през есента
С настъпването на есента е необходима санитарна резитба за превантивна поддръжка. Тогава започва подготовката за предстоящата зима. За целта повърхността на ствола и основата на скелетните клони се побеляват с вар. Зоната около ствола също леко се прекопава, след което се полива обилно и се мулчира обилно.
Разберете всичко относно засаждането на крушови дървета и избора на сорт.
Необходимостта и правилата за хранене на круши
За да избегнете увреждане на градината, избягвайте прекомерното торене. Торовете трябва да се прилагат според сезона, плодородието на почвата и възрастта на крушовото дърво.
Основни правила за грижа за круша:
- Разсадът започва да се подхранва от втората година.
- Минералните торове се прилагат всяка година.
- Органично - веднъж на всеки 3 години.
Торове за круши
Торовете за овощни дървета се делят на органични и минерални.
Органичните включват:
- Хумус. Той е добър източник на азот.
- Дървесна пепел. Съдържа магнезий, фосфор и калий, повишавайки киселинността на почвата.
- Птичи изпражнения. Те трябва да бъдат изсушени и разредени с вода преди употреба, в противен случай, когато са пресни, могат да повредят кореновата система на растението.
- Костно брашно. То е източник на фосфор, а също така съдържа желязо, йод, кобалт, калций, цинк и магнезий.
- Уреята е добър тор и предпазва дървото от вредители.
Минералните торове са:
- Азот. Спомага за увеличаване на зелената маса.
- Фосфорни торове. Те включват суперфосфат и двоен суперфосфат. Те помагат на плодовете да узреят по-бързо.
- Калиеви торове. Ако се прилагат през пролетта и по време на цъфтежа, добивите от круши ще бъдат по-високи.
- Магнезий. Помага за увеличаване на височината на дърветата.
Торене на круши според сезоните
Торенето на крушовите дървета започва през втората година. Торовете трябва да се прилагат през есента, пролетта, а понякога и през лятото.
Как да наторим крушово дърво през пролетта
Торете няколко седмици преди цъфтежа, като използвате 5% разтвор на урея, амониев нитрат или птичи изпражнения в количество от 5 литра на квадратен метър от пристволния кръг на дървото. След цъфтежа, за да осигурите изобилна реколта, подхранете крушовото дърво с фосфорни и калиеви торове. Суперфосфат или калиев сулфат са добри варианти за тази цел. След прилагане на тора, полейте обилно дърветата.
Как да наторим крушово дърво през лятото
С настъпването на лятото, крушовите дървета трябва да се наторяват в случай на сухо време. За целта напръскайте листата на дървото с богат на азот тор. Това помага на корените да оцелеят при неблагоприятни метеорологични условия. Ако се открият признаци на заболяване по листата и клоните, няма да е зле да подхраните крушовото дърво с фосфорни и калиеви торове.
Как да наторим крушово дърво през есента
През есента е време да започне подготовката за зимния сезон. Веднага щом върховете на дърветата са покрити с една трета с жълти листа, започнете да торите крушовото дърво. Изкопайте почвата около ствола и добавете 150 грама дървесна пепел на квадратен метър. Азотните торове са строго противопоказани през есента поради високия риск от смърт на дървото. През този период за крушовите дървета се препоръчват калиеви и фосфорни торове. За целта можете да смесите 10 литра вода, 1 супена лъжица калиев хлорид и 2 супени лъжици суперфосфат.
Можете да напръскате дърветата с разтвор от сол или пепел, за да ги предпазите от вредители, които може да са се скрили в тях през зимата.
Последното подхранване се извършва не по-късно от втората половина на септември.
Време за резитба на крушата
Подрязването е за предпочитане да се извършва през пролетта при температури над -7°C, преди да започне да тече сок.
През лятото понякога се извършва и резитба, но само когато короната е много гъста.
През есента се извършва само санитарна резитба.
Правила за резитба на круши според възрастта
След засаждане на разсада в открита земя, той трябва да се подреже, оставяйки само скелетните клони. Централното стъбло се скъсява с ¼, а стволът се почиства от клони под първия ред странични клони. На следващата година централното стъбло се скъсява с 0,25 м, а скелетните клони с 4-7 см.
При резитба на старо дърво е необходимо да се отрежат както издънките, така и клоните, така че короната на дървото да стане по-млада и по-лека.
Подрязване на круши според сезоните
Подрязването се извършва през всеки сезон, с изключение на зимата.
Как да подрязваме крушово дърво през пролетта
Подрязването на всички конкуриращи се клони до пръстена трябва да започне през втората година от живота на дървото. По време на формирането на дървото се оставят няколко плодоносни клона. Трябва да се отстранят само вертикално растящите издънки. Всички отрязани части трябва да се третират. За това можете да използвате ранет или градински лак.
Как да подрязваме крушово дърво през лятото
През лятото крушовите дървета се подрязват чрез прищипване. Това се прави само ако дървото има много млади издънки, които трябва да бъдат премахнати.
Как да подрязваме крушово дърво през есента
Това се прави от края на август до средата на септември. Всички изсъхнали, болни клони трябва да се премахнат. Едногодишните издънки се подрязват с 1/3, като се оставят няколко пъпки, от които ще пораснат нови клони. Започвайки от втората година, дървото може да се оформи в прамидална корона. Това ще улесни брането на плодовете и ще увеличи добива.
Третиране на круши срещу инфекции и вредители
За предотвратяване на болести и вредители е необходимо провеждането на превантивни обработки. Те могат лесно да се комбинират с торове. Използването на разтвор на урея ще убие всички патогени и ще осигури добър източник на азот за крушовото дърво. След разпъване на пъпките трябва да се приложат биологични обработки.
Преди първите слани трябва да се вземат и превантивни мерки. Напръскайте дървото и повърхността на почвата с 1% бордолезова смес или Нитрафен.
Болести и вредители по крушите в таблица със снимки: методи за превенция и контрол
Сега нека разгледаме по-подробно превантивните мерки и методите за борба с конкретна болест или вредител.
Болести по крушите
| Болест | Описание | Превенция | Методи за контрол |
|
Черен рак |
Засяга листата, скелетните клони, кората и плодовете. Появяват се малки лезии, които след това стават по-големи. По краищата се виждат кафяви петна. По плодовете и листата те стават червени. Плодовете изсъхват и се мумифицират. | Извършване на превантивно пръскане през пролетта и есента. Изгаряне на паднали листа през есента. |
Почистете засегнатите участъци, като отстраните малка част от здравата тъкан. За това е най-ефективен остър нож. Дезинфекцирайте порязаните участъци със смес от лопен и глина или меден сулфат. |
|
Цитоспороза (гниене на кората) |
Това представлява особена заплаха за по-старите и отслабени дървета. Когато е заразено, кората става тъмночервена и дървото изсъхва. | Избелване с вар. | Изрежете болните места с нож. Третирайте отрязаните места с градинска смола или меден сулфат. |
|
Плодово гниене (монилиоза) |
По плода се появяват кафяви петна, които след това покриват цялата повърхност. Плодът не пада, което позволява на инфекцията да се разпространи бързо. | Съберете и изгорете всички засегнати плодове (както от клоните, така и от земята). Това ще предотврати разпространението на болестта. | Пръскане с бордолезова смес или меден хлорид. |
| Огнена мана
|
Инфекцията се развива бързо, разпространявайки се чрез растителния сок. Тъканта бързо умира и растението умира. | Унищожете засегнатите участъци, преди инфекцията да има шанс да се разпространи допълнително. Инструментите за резитба трябва да се дезинфекцират с борна киселина. | Третирайте дървото с антибактериален препарат веднага след откриване на първите признаци на заболяване. Повторете процедурата няколко пъти на интервали от 5 дни. |
|
Краста |
Цялата надземна част на плода е засегната. Образуват се малки петна, които след това се разширяват. Плодовете стават по-малки, втвърдяват се и се напукват. Това се отразява негативно и на общия добив. По кората на плода се появяват тъмни петна, които се сливат и образуват едно кадифено петно. | Премахнете и унищожете листата през есента. Напръскайте с разтвор на урея или бордолезова смес. | Няма ефективни лечения. |
|
Ръжда |
По листните остриета се появяват ръждиви петна. Имунитетът на засегнатото растение отслабва и то започва да увяхва. | Пролетно и есенно третиране с бордолезова смес или колоидна сяра. | Премахване и изгаряне на засегнатите области. |
|
Брашнеста мана |
Това е гъбична инфекция, която причинява появата на бяло покритие, съставено от спори, по леторастите, листата и цветовете. В резултат на това всички части на растението се деформират и плодните пъпки окапват. | Редовно превантивно пръскане. | Съберете и изгорете засегнатите части. Напръскайте с Фундазол или Сулфит преди и след цъфтежа. |
| Мозайка | По листата се появяват ъгловати жълти и светлозелени петна. Заразяването най-често се случва по време на присаждане. | Внимателен подбор на разсад в разсадника. Ако болестта засегне растение, то трябва да бъде унищожено незабавно, преди инфекцията да се разпространи допълнително. | Няма ефективни лечения. Болното растение трябва да бъде унищожено. |
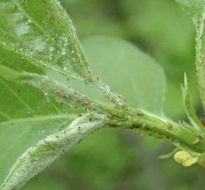
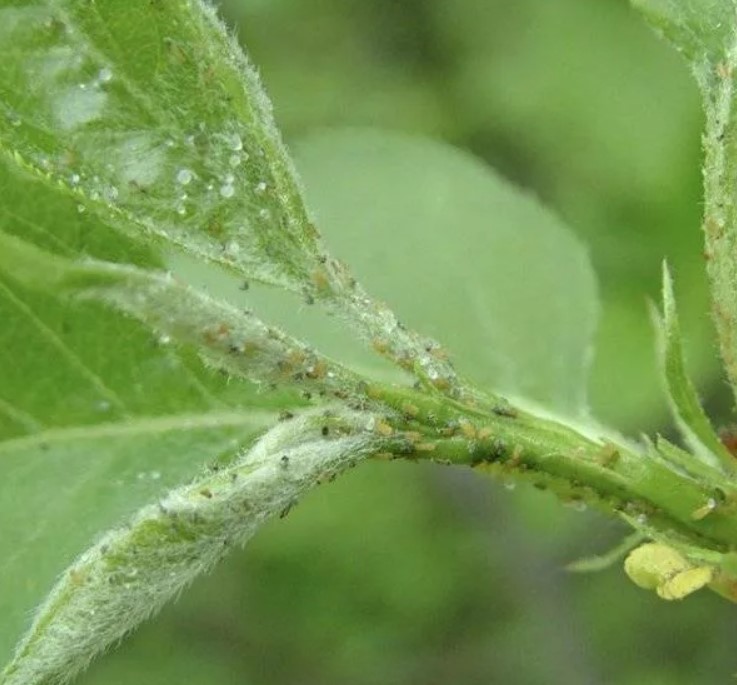
| Сажлива плесен |
Тъмно оцветено покритие върху надземната част на растението. Развива се в резултат на нападение от листни въшки или други насекоми вредители. | Спазване на агротехническите изисквания, навременна борба с вредителите. | Унищожете вредителите, причинили болестта. За тази цел обикновено се използват инсектициди. След това напръскайте с разтвор на меден сапун или Фитоверм. |
| Подкожно вирусно зацапване
|
В плодовата пулпа се появяват твърди образувания. В тези области развитието на тъканите е възпрепятствано, появяват се вдлъбнатини и плодът се деформира. Качеството и количеството на реколтата са намалени. Дървото отслабва, което увеличава риска от зимни повреди. Листните остриета придобиват мозаечен вид, а в кората се появяват пукнатини. Инфекциите се причиняват от нестерилни инструменти и вредители. | Внимателен подбор на разсад, използване само на стерилни инструменти, навременен контрол на насекомите. | Унищожете засегнатите плодове. |
Вредители по крушите
| Вредител | Описание | Превенция | Методи за контрол |
| Валяк за листа
|
Малка гъсеница, която уврежда листата, карайки ги да стават по-малки и да се навиват. | Пръскане с разтвор на Цимбуш. | Употреба на инсектициди. |
| Валяк за листа от кора
|
Кората се поврежда на дълбочина 50 см под земята. По повърхността се появяват пукнатини, от които изтича смола. Ако не се третира, дървото ще изсъхне. | Спазване на селскостопанската технология. | Премахване на засегнатите участъци от кората, третиране с високо концентриран разтвор на хлорофос. |
| Крушов смукач
|
Храни се със сок и насърчава растежа на саждиста плесен. Поради липса на сок, листата, пъпките и цветните пъпки се свиват и окапват, а плодовете се деформират. | Лечение с Агравертин и Искра. Ако нападението не е тежко, народните средства ще свършат работа. | |
| Жлъчен акар
|
Изсмуква сока от пъпките. | Пръскане с Фуфанон или разтвор на колоидна сяра (10%) в началото на пролетта. | Приложете Фуфанон след цъфтежа. Повторното пръскане е възможно, но не по-късно от 4 седмици преди прибиране на реколтата. Препоръчва се редуване на третирания, за да се предотврати развитието на имунитет от насекомите. |
| Ябълков молец
|
Това е пеперуда, която снася яйца по растенията. От тези яйца се излюпват гъсеници, които се хранят с пулпата на плода. | Третиране с Агравертин преди и след цъфтежа. | Третирайте с Агравертин, напръскайте с Кинмикс 20 дни след цъфтежа и след това напръскайте с Искра седмица по-късно. Ако гъсеници са се заселили в стъблата, ще е необходимо повторно третиране след прибиране на реколтата. През есента съберете и изгорете всички листа и прекопайте почвата до дълбочината на лопата. |
| Листна въшка
|
Листните остриета се извиват и изсъхват. | Спазване на агротехническите изисквания. | Третиране с инсектициди. |
Методи за размножаване на круши
Има няколко начина за размножаване на крушови дървета. Нека разгледаме всеки от тях по-подробно.
Размножаване на круша чрез семена
За да размножите крушови дървета от семена, поставете ги в малък съд с влажна, плодородна почва. Покрийте с пластмасово фолио, направете малки дупки в него за вентилация и поставете дървото на югоизточно изложение. Поставете семената в малък съд с влажна, плодородна почва. След като се появят първите издънки с листа, ги пресадете в отделни съдове. Ако е необходимо, повторете процеса, като ги преместите в по-големи съдове. Силните млади разсад се пресаждат на постоянното им място.
Размножаване на круша чрез резници
Размножаването на крушата чрез резници може да се извършва през есента, зимата и лятото. В зависимост от региона, резниците се берат през лятото, от втората половина на юни до средата на юли. През есента резниците се берат след като листата опадат. За родителския материал изберете млади клонки без пукнатини и повреди, растящи хоризонтално от ствола. Резниците се отрязват под ъгъл 45°. Те трябва да са дълги 15-20 см и дебели около 7 см. Трябва да има два или три междувъзлия, пъпки и млади листа.
Ако резниците се вземат през есента или зимата, те трябва да се съхраняват на хладно място. Подходящи са мазе, изба, хладилник или хладна тераса. Есенните резници се засаждат в сандъче с височина 20-30 см. Вътре се добавя 15 см слой пясък и смес от чернозем. Навлажнете обилно почвата и поръсете отгоре с тънък слой пясък. Поставете резниците в тези контейнери, с долния отрязан край надолу, на дълбочина 1-2 см. Покрийте насажденията с пластмасово фолио и ги дръжте на светло и хладно място до пролетта. През пролетта, когато почвата се затопли достатъчно, засадете резниците на открито.
Посадъчният материал, отрязан през лятото, трябва незабавно да се постави на временно място в почвата и да се обзаведе като мини-оранжерия. За добро вкореняване осигурете разсеяна светлина, често пръскане и проветряване поне веднъж седмично. Периодично проверявайте засаждането за болни издънки или изгнили листа, които трябва да се отстранят. След 1,5 месеца трябва да се образуват първите корени на крушовото дърво. Резниците, които са се вкоренили през лятото, се засаждат на открито през есента.
Важно е да се спазват правилата за грижа за резниците след засаждането им:
- Поливайте редовно през отвора в кръга на ствола на дървото.
- Мулчирайте почвата и отстранете всички плевели, които се появяват.
- Прилагайте азотни торове през първия месец на лятото.
Размножаване на круша чрез наслояване
Действия стъпка по стъпка:
- Вземете дървена кутия, покрийте стените ѝ с фолио, за да предотвратите изпаряването на влагата, и я напълнете с почва.
- Поставете контейнера под избрания клон и огънете издънката към него. Направете няколко напречни разреза там, където се докосва до почвата. За да ускорите растежа на корените, се препоръчва да поръсите отрязаните места със стимулант за растеж. Като алтернатива, можете просто да полеете резника с разтвор на Корневин.
- Фиксирайте клона в това положение и го покрийте с почва.
- Покрийте кутията с пластмасово фолио, покривен филц или мулч. Поддържайте пощата леко влажна през цялото време.
Резникът ще се вкорени напълно до края на сезона. Не бързайте обаче да го пресаждате на постоянно място. Трябва да го оставите с майчиното растение за зимата, тъй като кореновата му система е все още твърде слаба. В късна есен не забравяйте да го изолирате, например със смърчови клони. Когато завали сняг, покрийте го с дебел слой сняг.
Издънката може да се отдели от майчиното растение само след два сезона. Изкопайте я заедно с кореновата бала и я пресадете. Издънката започва да цъфти и да дава плодове по-рано от обикновения разсад. Освен това, младото растение наследява всички сортови характеристики на майчиното дърво.
Размножаване на круша чрез издънки
Този метод на размножаване използва двугодишни издънки, растящи от слънчева страна. Процедурата се извършва в началото на пролетта или късната есен, след като листата опадат. В последния случай е необходимо периодично да се прореждат издънките през лятото и да се разрохква зоната около ствола, за да се осигури силен разсад.
Коренът на такъв фиданка сочи към майчиното дърво. Той трябва да се отреже с остър, дезинфекциран нож, като инструментът се забива дълбоко в почвата. Отделеният разсад се пресажда веднага.
Размножаване на круша чрез присаждане
Изберете подложка и издънка от сорт с 3-4 пъпки. През есента поставете отрязания край на издънката в контейнер, пълен с влажен пясък. Съхранявайте го в хладилник за зимата при температура от 2 до 4°C. Няколко дни преди засаждането прехвърлете издънката върху влажна кърпа. Най-добре е това да се направи през май, а пъпкуването е най-добре в началото на юни.
Подготовка на круши за зимата
През есента е необходимо да подготвите крушата за зимата.
Преди настъпването на студеното време е необходимо да се предприемат редица действия:
- прищипнете върховете на младите издънки;
- извършване на санитарна резитба;
- избелете стволовете на крушовите дървета до скелетните клони, като използвате смес от мляко и глина;
- отстранете всички останали плодове от дървото;
- поливайте обилно всяко дърво;
- покрийте кръга на дървесния ствол със суха трева, слама, торф или компост.
Грижата за крушовите дървета е важна стъпка в отглеждането на тази култура. Редовната резитба и торене ще помогнат на дървото да процъфтява и да дава добра реколта. Важно е също така да се следи здравето на растението и да се контролират вредителите и болестите. С правилна грижа крушите ще станат вкусни и сочни, радвайки собствениците си в продължение на много години.
Съвети от опитни градинари за грижа за крушови дървета
Крушите, както и другите овощни дървета, се нуждаят от резитба. Култивираните градинари (има такъв клас) правят това. Има някои особености.
1. Ако не се подрязва, то расте много високо (по-високо от ябълковото дърво) и след това става недостъпно за поддръжка. Естествената му форма е пирамидална. Известно е обаче, че клоните близо до хоризонта (обща черта на всички овощни дървета) са най-плодотворни. Необходима е корекция.
2. (Моята хипотеза е законът за симетрията). Логично е да се предположи, че височината на крушовото дърво е свързана с дължината на главния корен. Следователно, като подрязваме дървото късо, ние ограничаваме растежа на основните корени и стимулираме растежа на страничните корени. Това е много важно за почви с близки нива на подпочвените води.
3. Крушовите дървета, по-често от ябълковите, имат клони с остри разклонения, което може да доведе до крехкост под тежестта на плодовете. Това изисква наблюдение и корекции, за предпочитане в ранния етап на растеж.
Без резитба реколтата е прилична и по-честа, но събирането на реколтата е неудобно, плюс това дърветата живеят по-кратко, заемат повече място и са подложени на постоянно счупване на клони, болести и др.
Но разбирам, че за нас винаги е едно и също: ако не е нужно да правим нещо, няма да го правим.
Свързаните теми са пълни с въпроси относно болести по овощните дървета. В повечето случаи раковите, черни, голи стволове са резултат от лошо управление на дърветата.
Интересите на градинаря и земеделския производител не винаги съвпадат. Например, аз умишлено оставих две крушови дървета да растат нагоре. Освен плодовете, те закриват и гледката на съседите ми. Е, те дават по-малко от половината от количеството, но понякога дори нямам време да го използвам и разпределя.
Зрелите крушови дървета могат да достигнат височината на триетажна сграда. Долните етажи умират. Всичко на върха... Но най-лошото е, че тези круши (обикновено с лидер, оставен да се оправя сам) заемат много място в градината, засенчвайки голяма площ. Затова никога не пускам лидера, а по-скоро оформям короната в разперена форма. По-късната резитба (в сравнение с костилковите) помага за предотвратяване на голям брой издънки, а ако силните клони се подрежат обратно до зелен лист през юни и се подрязват редовно, неудобството се свежда до минимум... (Същото важи и за ябълковите дървета). Мисля, че късната резитба е приемлива в хоби градина. Разбира се, дезинфекцията на инструментите и старателното запечатване на разрезите е от съществено значение.
Оферта на EKA
Вчера имах проблем с крушовото си дърво – съпругът ми опита тример и окоси едногодишно крушово дърво, наречено „Челябинская зимня“ – засадено преди месец и се справя чудесно. Толкова съм разочарована... Останала е само клонка на около 15-18 сантиметра над земята. Така че въпросът е: да ѝ дам ли шанс или просто да я изкопая и да я изхвърля? (Не мога да се накарам да се разплача.)Определено му дайте шанс! Ако не изсъхне, ще оцелее. Преди няколко години двегодишната ми круша беше ужасно изгризана от зайци. Мислех, че няма да оцелее, но не, сега е висока два метра и дава изобилие от плодове.
О, Наташа, колко е чудесно, наистина съм окуражена. Ще чакам кълновете от отрязаното стъбло. Може би трябва да го подхраня по-интензивно сега? Урея? Нещо друго? Може би да му дам много азот сега – за да стимулирам зелената маса?
Моите ябълкови дървета Мелба и Щрайфлинг претърпяха сериозни щети от слана в продължение на две последователни зими, падайки ниско до земята (на нивото на снежната покривка). Затова, следвайки съвета на опитни производители, ги третирах с урея.
Полях крушовото си дърво с урея, напръсках го с Епин, говорих му, съжалих го...Мина една седмица - виждам три подути пъпки на ствола - ще оцелее!
31 юли 2017 г.
Момичета, минаха две години и от тези три пъпки растат три здрави ствола, всички красиви, със странични разклонения. Високи са около метър. И трите са еднакво здрави и не мога да реша кой е по-малко. Чудя се дали да отрежа два... или един... или просто да ги оставя... Ще ги оставя до следващата пролет.В момента търся информация относно следното: ако крушово (или ябълково) дърво има няколко ствола, единият трябва да се премахне. Как да избера кой? Единият ствол има пет странични клона, всички здрави, докато другият има девет, малко по-малки клона. Те са разположени на равномерно разстояние един от друг.
Продължавам да отглеждам круши, използвайки скилидка и арония. Следващата пролет първите ми присадки ще станат на 10 години. Определено няма да има грандиозно тържество, нито пък малко, за да отпразнуваме.
И съобщение със задължителната поправка „при моите условия“ - моля.
Няколко обстоятелства ме подтикнаха да отглеждам круши в лехата с ирга. Местоположението на парцела
Мястото на снимката е директно на юг. Така че, има наклон на юг, наклон на север, подобен наклон на изток и само лек спад на северозапад. По принцип, класическа "яма". Дори ябълковите дървета не оцеляват повече от 15 години в нашата яма. Натрупва се скреж и... :drv . Сортът круши "Памет на Жегалов" замръзваше до нивото на снега всяка година. И основната мотивация: много искам круши, вкусни и разнообразни.През годините се е оформило силно мнение относно отглеждането на круши върху овкусителни дървета. По-конкретно, ако крушовото ви дърво дава изобилие от вкусни плодове ежегодно, тогава трябва да отглеждате круши върху овкусителни дървета единствено от любопитство и любознателност.
И ако има проблеми с тези точки или дори с трите наведнъж, ирга ще бъде спасител.
Технология
Не съм измислил нищо ново; използвах само познати елементи, подходящи за моите условия и моя мързел. Предпочитам присаждане върху арония. Плодовете са малко по-едри и е по-лесно да се контролират излишните издънки. При аронията същият сорт узрява 3-5 дни по-рано. Не мисля, че присаждането на круша върху растящ храст е най-добрият вариант. Дори присадката да е направена по периферията и дори да е от южната страна, тя ще получава по-малко хранене и светлина поради зрелите съседи. Затова отглеждам крушата на пергола. Засадих първите храсти на 1,5 метра един от друг, сега го правя на един метър. Поставям най-много една или две присадки на храст. За зимата навеждам всички присадки към земята.
През годините мишките са били принудени да премахнат една млада присадка и е имало около пет ухапвания. През март на особено снежната зима на 2011-2012 г. на това място е имало два метра сняг. Всички присадки са излезли от зимата без никакви счупвания. През пролетта връзвам присадките към пергола.
Здравата подложка също е важна. Считам подложката от снимката за идеална.
Дебелината на мястото на присаждане е 8-10 мм. Маркировките показват потенциални места за присаждане; и двата варианта биха били подходящи.Производителност.
Много зависи от това колко успешно се формира скелетът (ако има кости, месото ще расте)
Снимката показва присадки от сортовете Августовская Роза и Чижовская. Първото плододаване се е случило на третата година.
Присадката на Красули също дава първите си плодове през третата година.
Присаждането на Куйбишевская Золотистая също води до първото плододаване през третата година.
За съжаление, крушата беше доста лоша на вкус и няколко от плодовете изгниха направо на дървото. Шансовете този сорт да се задържи в градината са малки.
Има и снимка на Чижовская (трето плододаване)
Следващата снимка показва две ваксинации на Праздничная (2008 и 2011 г.)
И накрая, снимка на аксакалите. В памет на Жегалов (ваксиниран през 2005 г., снимката е направена тази година)
Тя е на ирга
Място за присаждане на ирга
Относно вкуса.
За съжаление, нямам начин да сравня вкуса на круши, отглеждани върху дървета ирга, с подобни сортове, отглеждани върху крушови дървета. Склонен съм да призная, че е малко по-лош. Но в нашия климат, една сладка круша вече е превъзходна.Изоставил съм или ще се откажа от някои сортове по различни причини. Кокинская - след четири плододавания - никога не е достигнала пълния си потенциал и освен това страда от нередовно плододаване. Някои сортове показват несъвместимост с подложката. Първото плододаване е добре, но всяко следващо само се влошава. Размерът намалява, гранулацията се увеличава и месестата част става по-суха. Поради тази причина ще се откажа от Красуля (ще опитам да я отглеждам на круша). Паметта на Яковлева също има нередовно плододаване. Изоставих някои сортове, защото са по-лоши по вкус и добив от други сортове, които узряват едновременно. Те включват Видная и Северянка Краснощёкая.
В края на всяка година, въз основа на резултатите от плододаването, списъкът със сортове, запазени за следващите години, се коригира. Списъкът не е постоянен; някои сортове се променят. В момента той изглежда по следния начин:
1) Раннозреещ от Мичуринск - даде плодове още през първата година, ще го запазя само заради ранното му зреене, не повече от една присадка;
2) Лада – недостатъкът на този сорт е, че бързо губи добрия си вкус. Едно или две присаждания
Изображение
3) Праздничная – един от най-добрите летни сортове, много съм доволна;
4) Памяти Анзину – по някаква причина този сорт рядко се споменава в различни списъци. В моите условия бих го поставил близо до Праздничная.
Изображение
5) Chizhovskaya е надежден сорт, по-нисък по вкус от Prazdnichnaya;
6) Августовска роса - трябва да се научите да отгатвате границата, която разделя добрия вкус от тревистата;
7) ХЗЧ – Получих грешен сорт, но това е един от онези случаи, в които потърпевшите казват, че нямат оплаквания. Нещо повече, дори съм благодарен, че е станала такава грешка. Узрява в началото на септември, съхранява се добре и има отличен вкус. Опитах се сам да идентифицирам сорта, но не можах да намеря нищо подходящо сред известните сортове. Но след това забелязах нещо подобно на снимка от последната изложба в MOIP. Оказа се, че е сортът Витебска.
Изображение Изображение Изображение Изображение
Може ли да е тя?
Памят Жегалова е явният монопол сред къснозреещите круши. Освен това има срок на годност от 30-40 дни. Подозирам, че сортовете, които узряват след нея, няма да достигнат пълния си потенциал в моите условия. Бера през последните пет дни на септември.
Може би подобен списък би изглеждал малко по-различно другаде, но бих бил много заинтересован да го видя. Как така почти всички го отглеждат/са го отглеждали, но няма списък с най-добрите? Това не е правилно.
.
Считам, че основният резултат от моите експерименти е разработването на линия от сортове, които позволяват консумация на крушите в рамките на три месеца. Ще се радвам, ако опитът ми е полезен на някого, особено на тези в рискови райони за отглеждане на круши.
PS: За съжаление или за щастие, компютърното ми образование ми позволява само да чета съобщения, но трябва да пиша


































Но разбирам, че за нас винаги е едно и също: ако не е нужно да правим нещо, няма да го правим. 











Памят Жегалова е явният монопол сред къснозреещите круши. Освен това има срок на годност от 30-40 дни. Подозирам, че сортовете, които узряват след нея, няма да достигнат пълния си потенциал в моите условия. Бера през последните пет дни на септември.